SIU Director’s Report - Case # 20-OVI-146
Warning:
This page contains graphic content that can shock, offend and upset.
Contents:
Mandate of the SIU
The Special Investigations Unit is a civilian law enforcement agency that investigates incidents involving police officers where there has been death, serious injury or allegations of sexual assault. The Unit’s jurisdiction covers more than 50 municipal, regional and provincial police services across Ontario.
Under the Police Services Act, the Director of the SIU must determine based on the evidence gathered in an investigation whether an officer has committed a criminal offence in connection with the incident under investigation. If, after an investigation, there are reasonable grounds to believe that an offence was committed, the Director has the authority to lay a criminal charge against the officer. Alternatively, in all cases where no reasonable grounds exist, the Director does not lay criminal charges but files a report with the Attorney General communicating the results of an investigation.
Under the Police Services Act, the Director of the SIU must determine based on the evidence gathered in an investigation whether an officer has committed a criminal offence in connection with the incident under investigation. If, after an investigation, there are reasonable grounds to believe that an offence was committed, the Director has the authority to lay a criminal charge against the officer. Alternatively, in all cases where no reasonable grounds exist, the Director does not lay criminal charges but files a report with the Attorney General communicating the results of an investigation.
Information Restrictions
Freedom of Information and Protection of Privacy Act (“FIPPA”)
Pursuant to section 14 of FIPPA (i.e., law enforcement), certain information may not be included in this report. This information may include, but is not limited to, the following:- Confidential investigative techniques and procedures used by law enforcement agencies; and
- Information whose release could reasonably be expected to interfere with a law enforcement matter or an investigation undertaken with a view to a law enforcement proceeding.
- Subject Officer name(s);
- Witness Officer name(s);
- Civilian Witness name(s);
- Location information;
- Witness statements and evidence gathered in the course of the investigation provided to the SIU in confidence; and
- Other identifiers which are likely to reveal personal information about individuals involved in the investigation.
Personal Health Information Protection Act, 2004 (“PHIPA”)
Pursuant to PHIPA, any information related to the personal health of identifiable individuals is not included. Other proceedings, processes, and investigations
Information may have also been excluded from this report because its release could undermine the integrity of other proceedings involving the same incident, such as criminal proceedings, coroner’s inquests, other public proceedings and/or other law enforcement investigations.Mandate Engaged
The Unit’s investigative jurisdiction is limited to those incidents where there is a serious injury (including sexual assault allegations) or death in cases involving the police.
“Serious injuries” shall include those that are likely to interfere with the health or comfort of the victim and are more than merely transient or trifling in nature and will include serious injury resulting from sexual assault. “Serious Injury” shall initially be presumed when the victim is admitted to hospital, suffers a fracture to a limb, rib or vertebrae or to the skull, suffers burns to a major portion of the body or loses any portion of the body or suffers loss of vision or hearing, or alleges sexual assault. Where a prolonged delay is likely before the seriousness of the injury can be assessed, the Unit should be notified so that it can monitor the situation and decide on the extent of its involvement.
This report relates to the SIU’s investigation into an injury that a 55-year-old man (the “Complainant”) suffered.
“Serious injuries” shall include those that are likely to interfere with the health or comfort of the victim and are more than merely transient or trifling in nature and will include serious injury resulting from sexual assault. “Serious Injury” shall initially be presumed when the victim is admitted to hospital, suffers a fracture to a limb, rib or vertebrae or to the skull, suffers burns to a major portion of the body or loses any portion of the body or suffers loss of vision or hearing, or alleges sexual assault. Where a prolonged delay is likely before the seriousness of the injury can be assessed, the Unit should be notified so that it can monitor the situation and decide on the extent of its involvement.
This report relates to the SIU’s investigation into an injury that a 55-year-old man (the “Complainant”) suffered.
The Investigation
Notification of the SIU
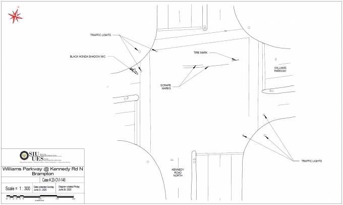
On June 21, 2020, at 12:46 p.m., Peel Regional Police (PRP) contacted the SIU and reported an injury to the Complainant.PRP advised that on June 21, 2020, at 8:31 a.m., the Subject Officer (SO) responded to a barricaded person call. He drove northbound on Kennedy Road and approached Williams Parkway. The SO had a red light on Kennedy Road. He stopped, then activated his emergency lights and entered the intersection. All traffic at the intersection had stopped for the police vehicle. A motorcycle, which travelled westbound on Williams Parkway, did not stop and entered the intersection on a green light. The rider of the motorcycle put the motorcycle down to avoid a collision with the police vehicle. There was no contact between the vehicles. A Peel Emergency Medical Services (EMS) ambulance transported the rider of the motorcycle to the Brampton Civic Hospital (BCH), where he was diagnosed with two fractured ribs. The scene was held, and PRP advised that the motorcycle had been moved during the initial police response.
The Team
Number of SIU Investigators assigned: 2 Number of SIU Forensic Investigators assigned: 2
Two SIU Forensic Investigators attended and photographed the scene and the involved police vehicle and motorcycle.
A medical release was signed, and the Complainant’s medical records were obtained from the BCH.
The Ambulance Call Report (ACR) was obtained.
Complainant:
55-year-old male interviewed, medical records obtained and reviewedCivilian Witnesses (CW)
CW Interviewed Witness Officers (WO)
WO #1 Interviewed, notes received and reviewed WO #2 Interviewed, notes received and reviewed
Subject Officer
SO Interviewed, but declined to submit notes, as is the subject officer’s legal right. Evidence
The Scene
The scene was in the intersection of Kennedy Road and Williams Parkway, Brampton.Scene Diagram

Physical Evidence
SIU Forensic Scene Examination
At 3:00 p.m., a total station was used to map the scene.
The scene was photographed, and the involved PRP vehicle was returned to the scene and photographed. There was no apparent fresh damage to the police vehicle.
Police Communications Recordings
On June 21, 2020, at 8:32:04 a.m., the SO advised dispatch that he had been involved in a motor vehicle collision with a motorcycle at Kennedy Road and Williams Parkway, Brampton. At 8:32:31 a.m., WO #2 advised that he would respond to the scene. At 8:32:33 a.m., the SO requested an ambulance and advised dispatch that the rider of the motorcycle had a possible shoulder injury. At 9:03:41 a.m., a second ambulance attended after the first ambulance was not required. At 9:25:05 a.m., the SO followed the ambulance to the BCH.Materials obtained from Police Service
Upon request, the SIU obtained and reviewed the following materials and documents from the PRP:- Audio call communications- radio;
- Audio call communications- telephone;
- Collision Report;
- SO-Driver Training;
- Event Chronology (Computer-assisted Dispatch);
- Notes-WO #2;
- Notes-WO #1;
- Occurrence;
- Policy Operation of Motor Vehicle; and
- Policy Directive Vehicular Collisions.
Materials obtained from Other Sources
The SIU obtained and reviewed the following records from non-police sources:- The Complainant’s medical records from BCH; and
- ACRs from Peel EMS.
Incident Narrative
The material facts in question are clear on the evidence collected by the SIU and may be summarized in short order. At about 8:30 a.m. on June 21, 2020, the SO was traveling northbound on Kennedy Road in his marked police cruiser. With his emergency lights and siren on, the officer was responding to the scene of a call for service. At Williams Parkway, the SO came to a full stop in front of a red light, waited for eastbound traffic to clear and then slowly entered the intersection with the intention of continuing northward. As he did so, the SO drove past a pickup truck that was stopped in the westbound passing lane of Williams Parkway.
At the same time, the Complainant was operating his motorcycle westward in the curb lane of Williams Parkway approaching Kennedy Road. The Complainant passed the pickup truck in the curb lane and noticed the SO’s cruiser to his left traveling north through the intersection. In an effort to avoid an anticipated collision, the Complainant forcefully applied his brakes and attempted to maneuver out of the way. Unable to control his motorcycle, the vehicle slid out from under him and fell onto its right side. The Complainant rolled onto the roadway.
At no point did the cruiser and the motorcycle actually make contact.
Seeing what had occurred, the SO stopped his vehicle in the westbound lanes of Williams Parkway to prevent traffic from flowing toward the Complainant and the motorcycle.
An ambulance eventually transported the Complainant to hospital where he was diagnosed with two right-sided rib fractures.
At the same time, the Complainant was operating his motorcycle westward in the curb lane of Williams Parkway approaching Kennedy Road. The Complainant passed the pickup truck in the curb lane and noticed the SO’s cruiser to his left traveling north through the intersection. In an effort to avoid an anticipated collision, the Complainant forcefully applied his brakes and attempted to maneuver out of the way. Unable to control his motorcycle, the vehicle slid out from under him and fell onto its right side. The Complainant rolled onto the roadway.
At no point did the cruiser and the motorcycle actually make contact.
Seeing what had occurred, the SO stopped his vehicle in the westbound lanes of Williams Parkway to prevent traffic from flowing toward the Complainant and the motorcycle.
An ambulance eventually transported the Complainant to hospital where he was diagnosed with two right-sided rib fractures.
Relevant Legislation
Section 320.13, Criminal Code – Dangerous operation causing bodily harm
320.13 (1) Everyone commits an offence who operates a conveyance in a manner that, having regard to all of the circumstances, is dangerous to the public.
(2) Everyone commits an offence who operates a conveyance in a manner that, having regard to all of the circumstances, is dangerous to the public and, as a result, causes bodily harm to another person.
Sections 144 (18) and 144(20), Highway Traffic Act -- Red light Exemption
144 (18) Every driver approaching a traffic control signal showing a circular red indication and facing the indication shall stop his or her vehicle and shall not proceed until a green indication is shown.144 (20) Despite subsection (18), a driver of an emergency vehicle, after stopping the vehicle, may proceed without a green indication being shown if it is safe to do so.
Analysis and Director's Decision
On June 21, 2020, the Complainant was injured in a motorcycle crash at the intersection of Kennedy Road and Williams Parkway, Brampton. As the crash was the result of an evasive maneuver undertaken by the Complainant trying to avoid a collision with a police cruiser, the driver of the cruiser – the SO – was identified as the subject officer for purposes of the SIU investigation. On my assessment of the evidence, there are no reasonable grounds to believe that the SO committed a criminal offence in connection with the Complainant’s injuries.
The only offence that arises for consideration is dangerous operation of a motor vehicle causing bodily harm contrary to section 320.13(2) of the Criminal Code. The offence is predicated, in part, on conduct that amounts to a marked departure from the level of care that a reasonable person would have exercised in the circumstances. In the instant case, there is insufficient evidence to reasonably conclude that the SO transgressed the limits of care prescribed by the criminal law.
On the contrary, in the moments before the accident, it appears that the SO drove his cruiser with due regard for the safety of the public around him. It is worth noting, for starters, that the officer was in the lawful execution of his duty at the time as he was responding to a call for service involving a barricaded person. As such, pursuant to section 144(20) of the Highway Traffic Act, the SO was entitled to travel through a red light but only when it was safe to do so after first coming to a full stop. The evidence establishes that the officer did in fact come to a full stop and that it was only after eastbound traffic had safely cleared that he proceeded into the intersection. He did so slowly and with his emergency lights operating. Seeing the Complainant approaching westward from the east in the curb lane of Williams Parkway, and not slowing down or stopping, the SO watched as the motorcyclist lost control of his vehicle and fell onto his right side. There is a suggestion in the evidence that the SO might have sounded his airhorn shortly after seeing the motorcycle, startling the Complainant and causing his loss of control. Be that as it may, I am unable to fault the officer for sounding equipment in an attempt to alert the motorcyclist to his presence in the intersection.
On the aforementioned-record, I am satisfied on reasonable grounds that the SO comported himself lawfully as he drove into the intersection moments before the Complainant’s crash. Accordingly, there is no basis for proceeding with criminal charges against the officer, and the file is closed.
Date: January 25, 2021
Electronically approved by
Joseph Martino
Director
Special Investigations Unit
The only offence that arises for consideration is dangerous operation of a motor vehicle causing bodily harm contrary to section 320.13(2) of the Criminal Code. The offence is predicated, in part, on conduct that amounts to a marked departure from the level of care that a reasonable person would have exercised in the circumstances. In the instant case, there is insufficient evidence to reasonably conclude that the SO transgressed the limits of care prescribed by the criminal law.
On the contrary, in the moments before the accident, it appears that the SO drove his cruiser with due regard for the safety of the public around him. It is worth noting, for starters, that the officer was in the lawful execution of his duty at the time as he was responding to a call for service involving a barricaded person. As such, pursuant to section 144(20) of the Highway Traffic Act, the SO was entitled to travel through a red light but only when it was safe to do so after first coming to a full stop. The evidence establishes that the officer did in fact come to a full stop and that it was only after eastbound traffic had safely cleared that he proceeded into the intersection. He did so slowly and with his emergency lights operating. Seeing the Complainant approaching westward from the east in the curb lane of Williams Parkway, and not slowing down or stopping, the SO watched as the motorcyclist lost control of his vehicle and fell onto his right side. There is a suggestion in the evidence that the SO might have sounded his airhorn shortly after seeing the motorcycle, startling the Complainant and causing his loss of control. Be that as it may, I am unable to fault the officer for sounding equipment in an attempt to alert the motorcyclist to his presence in the intersection.
On the aforementioned-record, I am satisfied on reasonable grounds that the SO comported himself lawfully as he drove into the intersection moments before the Complainant’s crash. Accordingly, there is no basis for proceeding with criminal charges against the officer, and the file is closed.
Date: January 25, 2021
Electronically approved by
Joseph Martino
Director
Special Investigations Unit
Note:
The signed English original report is authoritative, and any discrepancy between that report and the French and English online versions should be resolved in favour of the original English report.