SIU Director’s Report - Case # 19-PFD-293
Warning:
This page contains graphic content that can shock, offend and upset.
Contents:
Mandate of the SIU
The Special Investigations Unit is a civilian law enforcement agency that investigates incidents involving police officers where there has been death, serious injury or allegations of sexual assault. The Unit’s jurisdiction covers more than 50 municipal, regional and provincial police services across Ontario.
Under the Police Services Act, the Director of the SIU must determine based on the evidence gathered in an investigation whether an officer has committed a criminal offence in connection with the incident under investigation. If, after an investigation, there are reasonable grounds to believe that an offence was committed, the Director has the authority to lay a criminal charge against the officer. Alternatively, in all cases where no reasonable grounds exist, the Director does not lay criminal charges but files a report with the Attorney General communicating the results of an investigation.
Under the Police Services Act, the Director of the SIU must determine based on the evidence gathered in an investigation whether an officer has committed a criminal offence in connection with the incident under investigation. If, after an investigation, there are reasonable grounds to believe that an offence was committed, the Director has the authority to lay a criminal charge against the officer. Alternatively, in all cases where no reasonable grounds exist, the Director does not lay criminal charges but files a report with the Attorney General communicating the results of an investigation.
Information Restrictions
Freedom of Information and Protection of Privacy Act (“FIPPA”)
Pursuant to section 14 of FIPPA (i.e., law enforcement), certain information may not be included in this report. This information may include, but is not limited to, the following:- Confidential investigative techniques and procedures used by law enforcement agencies; and
- Information whose release could reasonably be expected to interfere with a law enforcement matter or an investigation undertaken with a view to a law enforcement proceeding.
- Subject Officer name(s);
- Witness Officer name(s);
- Civilian Witness name(s);
- Location information;
- Witness statements and evidence gathered in the course of the investigation provided to the SIU in confidence; and
- Other identifiers which are likely to reveal personal information about individuals involved in the investigation.
Personal Health Information Protection Act, 2004 (“PHIPA”)
Pursuant to PHIPA, any information related to the personal health of identifiable individuals is not included. Other proceedings, processes, and investigations
Information may have also been excluded from this report because its release could undermine the integrity of other proceedings involving the same incident, such as criminal proceedings, coroner’s inquests, other public proceedings and/or other law enforcement investigations.Mandate Engaged
The Unit’s investigative jurisdiction is limited to those incidents where there is a serious injury (including sexual assault allegations) or death in cases involving the police.
“Serious injuries” shall include those that are likely to interfere with the health or comfort of the victim and are more than merely transient or trifling in nature and will include serious injury resulting from sexual assault. “Serious Injury” shall initially be presumed when the victim is admitted to hospital, suffers a fracture to a limb, rib or vertebrae or to the skull, suffers burns to a major portion of the body or loses any portion of the body or suffers loss of vision or hearing, or alleges sexual assault. Where a prolonged delay is likely before the seriousness of the injury can be assessed, the Unit should be notified so that it can monitor the situation and decide on the extent of its involvement.
This report relates to the SIU’s investigation into the death of a 44-year-old man (the “Complainant”).
“Serious injuries” shall include those that are likely to interfere with the health or comfort of the victim and are more than merely transient or trifling in nature and will include serious injury resulting from sexual assault. “Serious Injury” shall initially be presumed when the victim is admitted to hospital, suffers a fracture to a limb, rib or vertebrae or to the skull, suffers burns to a major portion of the body or loses any portion of the body or suffers loss of vision or hearing, or alleges sexual assault. Where a prolonged delay is likely before the seriousness of the injury can be assessed, the Unit should be notified so that it can monitor the situation and decide on the extent of its involvement.
This report relates to the SIU’s investigation into the death of a 44-year-old man (the “Complainant”).
The Investigation
Notification of the SIU
On December 3, 2019, at 9:39 p.m., the Ontario Provincial Police (OPP) reported an officer-involved shooting. The Complainant had been pronounced dead at the South Huron Hospital (SHH) in Exeter. At 6:33 p.m., three OPP officers and firefighters had responded to a fire call at the Complainant’s residence. There was a fire in his kitchen, and he refused to leave the residence. He was in possession of an axe and there was an altercation with the OPP officers. Subject Officer (SO) #1 discharged his firearm. SO #2 and Witness Officer (WO) #2 had also been present but it was unknown if they had discharged their firearms. A conducted energy weapon (CEW) had been deployed but it was unknown which officer had used it. SO #1 had started cardiopulmonary resuscitation (CPR) until emergency medical services (EMS) arrived and took over care.
The Team
Number of SIU Investigators assigned: 3Number of SIU Forensic Investigators (FIs) assigned: 4
Complainant:
44-year-old male, deceasedCivilian Witnesses
CW #1 InterviewedCW #2 Interviewed
CW #3 Interviewed
CW #4 Interviewed
CW #5 Interviewed
CW #6 Interviewed
CW #7 Interviewed
CW #8 Interviewed
CW #9 Interviewed
CW #10 Interviewed
CW #11 Interviewed
CW #12 Interviewed
CW #13 Interviewed
CW #14 Interviewed
CW #15 Interviewed
CW #16 Interviewed
CW #17 Interviewed
CW #18 Interviewed
CW #19 Interviewed
CW #20 Interviewed
CW #21 Interviewed
CW #22 Interviewed
CW #23 Interviewed
CW #24 Interviewed
CW #25 Interviewed
CW #26 Interviewed
CW #27 Interviewed
Witness Officers
WO #1 InterviewedWO #2 Notes reviewed, interview deemed not necessary
Subject Officers
SO #1 Interviewed, but declined to submit notes, as is the subject officer’s legal right.SO #2 Interviewed, but declined to submit notes, as is the subject officer’s legal right.
Evidence
The Scene
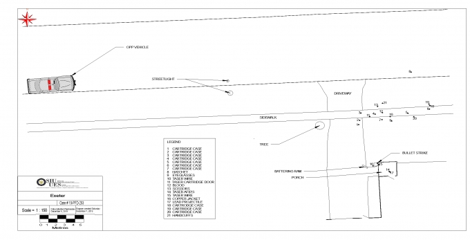
The scene was the front lawn/driveway of the house at an address on Simcoe Street. The house was a single-family brick and aluminum bungalow with a single car garage attached with an enclosed breezeway. There was a driveway in front of the garage that led to the road on the west side of the house. The front entranceway was accessed from the driveway and there was a front porch. The front porch had a partial brick wall around the perimeter.The following items were collected at the scene:
- Ten spent cartridge cases; [1]
- Wooden handled axe/hatchet;
- Bronze wire rimmed glasses;
- Taser wire;
- Taser cartridge door;
- Medical debris;
- Taser AFIDs (Anti-Felon Identification tags) components;
- Copper jacket;
- Lead projectile; and
- Handcuffs.
Scene Diagram

Physical Evidence
Gun Ammunition Count
SO #2’s Glock was a 9mm pistol. There was a magazine in the weapon and one cartridge in the chamber. There were 13 cartridges remaining in the 17-cartridge magazine. The spare magazines contained 17 cartridges.
WO #1’s Glock was a 9mm pistol. There was a magazine in the weapon and one cartridge in the chamber. There were 17 cartridges in the 17-cartridge chamber. The spare magazines contained 17 cartridges.
Forensic Evidence
CEW Data Download[2]
SO #1’s CEW Taser X2 was used once during the incident with one cartridge deployed. On December 3, 2019, at 6:48:07 p.m., the CEW trigger was pulled with cartridge one deployed for a duration of five seconds. At 6:54:02 p.m., the CEW was in safe mode with cartridge one deployed and cartridge two intact.
SO #2’s CEW Taser X2 was not used during this incident.
WO #1’s CEW Taser X2 was used once during the incident with one cartridge deployed. On December 3, 2019, at 6:32:38 p.m., the CEW trigger was pulled with cartridge one deployed for a duration of five seconds. At 6:32:44 p.m., the CEW was on safe mode with cartridge one deployed and cartridge two intact.
Centre of Forensic Sciences (CFS) Submissions and Results
On January 29, 2020, the SIU received a Biology Report from the CFS. The results confirmed that the Complainant could not be excluded as the source of the male DNA profile from the blood and the unstained areas on the wooden axe handle from the address on Simcoe Street.
The CFS Firearms Report, dated April 27, 2020, indicated that nine of the 14 spent cartridge cases submitted by the SIU had been fired from SO #1’s firearm, four had been fired from SO #2’s firearm, and the remaining one round had been fired by neither weapon. [3]
Expert Evidence
Report of Postmortem Examination
Per the report, the Complainant sustained 11 gunshot wounds to the neck, torso and extremities. The most significant were two penetrating and perforating gunshot wounds to the torso. The penetrating gunshot wound to the torso entered the body through the left anterior chest, causing injuries to left lung, heart and liver with associated large left-sided hemothorax. A deformed jacketed bullet was found embedded within the soft tissues of the right abdominal flank. The wound was fatal and tracked left to right, downward and slightly front to back. The perforating gunshot wound to the torso (pelvic region) entered the right groin, causing two perforating wounds to the small bowel, marginal defect to the bladder and small hemoperitoneum, and exited through the medial right buttock. The wound was potentially fatal and tracked front to back, slightly right to left and downward.
There was a perforating gunshot wound to the right upper arm. The wound was not fatal and tracked front to back, upward and in a right to left direction. There was a perforating gunshot wound to the right forearm. The wound was not fatal and tracked front to back in an upward direction. There were two perforating gunshot wounds to the right thigh but they were not fatal. The upper wound entered on the medial aspect of the anterior right thigh and tracked left to right, slightly downward and slightly front to back. The lower wound entered the lateral and tracked right to left, upward and slightly back to front.
There was a gunshot wound to the left thigh, which entered on the medial aspect of the left thigh. A deformed jacket bullet was found embedded in the anterior left thigh soft tissue. The wound tracked right to left, upward and back to front. The wound was not fatal. There was a perforating gunshot wound to the lower left thigh and anterior left knee. The direction of fire could not be determined but the wound was not fatal. There was a superficial perforating gunshot wound to the left lower leg going in a left to right and upward direction. The wound was not fatal. There was a non-fatal graze wound to the right and central anterior neck. There was a non-fatal graze wound to the posterior right forearm going in an upward direction. The perforating gunshot wound to the right thigh (lower of the wounds) and the penetrating gunshot wound to the left thigh could have been sustained from the same shot. The perforating gunshot wound to the right forearm and graze wound to the neck could have been sustained from the same shot.
There were no marks or burns to the skin related to CEW use but there were abrasions related to the CEW deployment.
The toxicological analysis was non-contributory.
The cause of death was gunshot wounds to torso.
Video/Audio/Photographic Evidence
The SIU canvassed the area for any video or audio recordings, and photographic evidence, and was able to locate the following:- OPP video of the scene; and
- Videos from CW #4.
OPP Video of the Scene
Videos from CW #4
Police Communications Recordings
OPP Communication Recordings
The communication centre dispatched several police units to a structure fire at an address on Simcoe Street in Exeter. A neighbour had called to advise that a man [now known to be the Complainant] was having a mental health episode, there was a fire on the stove, and he was refusing to leave. The Fire Department had also been advised. Several units responded, including SO #2 and SO #1. SO #1 was coming from the hospital. The communication centre advised that the house was filled with smoke and the fire department was on the scene. The Complainant was flagged on police records with mischief, destroying or damaging property and having been released on a promise to appear. The communication centre advised that the fire department was on the scene and the Complainant had refused to leave the house.
SO #2 advised that he was on scene with several firefighters and asked SO #1, WO #1 and another police officer to attend the scene. The doors were locked. The other police officer said he was on his way and SO #2 asked SO #1 and the other police officer to expedite their arrival because the Complainant had an axe in his hand. The other police officer said they were coming.
SO #2 advised that shots had been fired and then asked for an ambulance because the Complainant was bleeding.
CW #2’s 9-1-1 Call
CW #2 called 9-1-1 and said her neighbour was having a mental health episode at an address on Simcoe Street in Exeter. She requested the fire department and explained that a man [now know to be the Complainant] was in the house, had something on the stove and was not leaving the house. She noted there was smoke filling the house. Again, she repeated that he was having a mental health episode and noted that she had been talking to his mom [now known to be CW #1].
CW #2 went on to say the Complainant had walked over to her house barefoot and asked for her, but she had not been home. When she arrived home, her son told her what had happened, and she had gone over to the Complainant’s house. The Complainant had started talking about the military and was not making any sense. CW #2 noted that his mother had come home and asked him to leave, which had upset him. CW #1 had explained to CW #2 that the Complainant was having a mental health crisis because a family member had recently died. CW #2 had gone to check on the Complainant, saw a fire on the stove and had told him to leave. She had asked him to put the fire out. The house was filled with smoke and he would not leave.
CW #2 told the operator the fire department had arrived. CW #2 then gave the operator the Complainant’s name and her name. She continued and said they were still trying to get the Complainant out of the house, but he would not leave. She did not see a fire. The operator said she would let the fire department know and said goodbye.
Materials obtained from Police Service
Upon request, the SIU obtained and reviewed the following materials and documents from the OPP:- Computer-Assisted Dispatch (CAD) Printout;
- Canvass Update 1 – Simcoe Street;
- Canvass Update 2 – Simcoe Street;
- A neighbour’s statement synopsis and incident report;
- Data from the CEWs of both SOs and WO #1.
- General Occurrence;
- 03Dec19 Huron Detachment log ons;
- 03Dec19 Perth Detachment log ons;
- Notes – WO #2 (redacted);
- Notes – WO #2;
- Notes – WO #1 (Redacted);
- OPP Witness Statement Synopsis – District Fire Chief CW #3;
- OPP – Firefighter List;
- OPP – Sudden Death Report;
- OPP – Simcoe Street Canvass;
- OPP Witness List;
- Supplementary Report;
- Training Records – both SOs;
- OPP Interview – District Fire Chief CW #3;
- OPP Interview – a neighbour;
- OPP Photos;
- OPP Video of Scene; and
- OPP Communication Recordings.
Materials obtained from Other Sources
In addition to the materials received from the OPP, the SIU obtained and reviewed the following materials from other sources:- Videos from CW #4;
- CFS Firearms Report;
- CFS Biology Report;
- Report of Postmortem Examination;
- South Huron Fire Department Incident Report – multiple authors; and
- South Huron Fire Department Incident Report – CW #9.
Incident Narrative
While there are variations in the witness accounts regarding certain details of the manner in which events unfolded, the following scenario emerges on the weight of the evidence collected by the SIU. That evidence included interviews with both subject officers; WO #1 (present in the vicinity at the time of the shooting) and multiple firefighters, who were in the area having responded to a fire call at the Complainant’s residence. The investigation also benefitted from statements provided by CW #1 (the Complainant’s mother) and CW #2 (a neighour), each of whom had important information regarding the circumstances preceding the shooting; forensic examination of the scene and items of evidence; and, the postmortem report.
The Complainant, who had been diagnosed with schizophrenia, manic depression and bi-polar disorder, was not doing well on the day of the incident. While barefoot, he had made his way to a neighbour’s home on Simcoe Street to ask if he could come inside. The neighbour demurred and then called his mother to report what had occurred. The neighbour’s mother – CW #2 – went to check on him. The Complainant opened the door to CW #2 and started talking nonsensically about the military and police. His demeanour turned for the worse when his mother – CW #1 – returned home and tried to engage her son. The Complainant asked his mother to leave, prompting CW #1 and CW #2 to make their way over to CW #2’s home across the road.
A short time later, CW #2 returned to the Complainant’s residence. When the Complainant opened the door, CW #2 noticed a small fire on the stove and smoke coming from the kitchen. She asked the Complainant to put out the fire and step outside, but he declined. Arriving back at her house, CW #2 called 911. CW #1 rushed back to her residence where she found the door locked and her son refusing to open it. The time was about 6:30 p.m.
Firefighters began arriving at the scene to find the Complainant on the front porch in front of the door. Among the first at the residence was CW #3, the district chief of the SHFD. The Complainant refused to exit the house. The firefighter made his way to the front door and introduced himself to the Complainant. The Complainant was largely unresponsive and incoherent, but calmly replied in the negative when CW #3 asked him to exit the house.
The first of the officers to make it to the scene was SO #2. Advised by WO #3 that the Complainant was refusing to let the firefighters inside, the officer went to his cruiser, retrieved a battering ram, and took it with him to the front porch. He was met there by CW #1, who confirmed that the Complainant had locked all the doors. Through the glass panel of the door, SO #2 could see the Complainant leaning on the window, arms crossed, silent and clutching an axe. Smoke was visible in the air behind him.
SO #2 radioed a request for supporting officers to expedite their response to the scene and then stepped off the porch. CW #1 also stepped from the porch and was ushered down the driveway by CW #9, SHFD’s fire chief, who had arrived at the address. Within moments, SO #1 and WO #1 were at the scene running toward the front porch of the residence.
With SO #1 and WO #1 on the lawn in front of the porch, SO #2 again approached the front door with the ram in hand and proceeded to batter it open. As the door opened, the Complainant quickly emerged through the threshold onto the porch holding the axe. SO #2 had dropped the ram and stepped off the porch onto the driveway at this time. From a distance of about three metres, SO #2 drew his firearm and pointed it at the Complainant. As he did so, SO #1 yelled, “Taser, Taser, Taser,” and fired his CEW at the Complainant.
The Complainant was unfazed by the CEW deployment. He proceeded to step off the porch and began to advance toward the three officers, who had formed in a semi-circle pattern north of his location with SO #2 the furthest west, WO #1 the furthest east, and SO #1 in the middle. The officers, each with their firearms pointed at the Complainant, shouted at him to drop the axe and get to the ground. The Complainant did not stop his approach or drop the axe, and was shot by SO #2 and SO #1 in an initial volley of gunfire.
From a range of about two to four metres, and while backtracking in step with the Complainant’s approach, SO #1 shot at the Complainant several times and then, with a brief pause in between, several more times. All told, the evidence indicates SO #1 discharged his weapon four to six times. At about the same time, SO #2 fired his weapon four times from about the same distance as he too was moving back. The Complainant staggered and then fell to the ground on the driveway near the sidewalk.
As the Complainant was still holding the axe in his right hand, a plan quickly came together whereby WO #1 would discharge her CEW at the Complainant with the intention of incapacitating him as SO #2 moved in to remove the axe from his possession. SO #2 physically engaged the Complainant on the ground and was himself affected by the discharge of electrical current from WO #1’s weapon, which seemed to temporarily immobilize the Complainant but was unsuccessful in freeing the axe from his grasp. With both the Complainant and SO #2 on the ground next to each other, SO #1 stepped toward the Complainant and fired one to three shots in his direction. Following this second volley of gunfire, the Complainant dropped the axe, which was retrieved by SO #2.
SO #1 and WO #1, with the assistance of firefighters, performed CPR on the Complainant pending the arrival of paramedics. He was taken to hospital in an ambulance and declared deceased at 7:21 p.m.
At autopsy, the pathologist documented gunshot injuries to the Complainant’s torso, pelvic region, right upper arm, right forearm, posterior right forearm, right thigh, left thigh, lower left thigh/knee, left lower leg and neck. The pathologist was of the view that the injuries resulted from nine, ten or 11 separate gunshots.
The number of recovered cartridge cases and attributed to the firearms of either SO #2 or SO #1, together with the number of rounds contained in each officer’s firearm after the incident, indicates that SO #2 and SO #1 fired a total of four and seven times, respectively. Which bullet from whose gun caused which injury to the Complainant could not be determined.
The axe held by the Complainant during the incident was obtained by the SIU. It had a wooden handle and a metal head about 9 centimetres along its sharp edge.
Cause of death was attributed to “gunshot wounds to torso”.
The Complainant, who had been diagnosed with schizophrenia, manic depression and bi-polar disorder, was not doing well on the day of the incident. While barefoot, he had made his way to a neighbour’s home on Simcoe Street to ask if he could come inside. The neighbour demurred and then called his mother to report what had occurred. The neighbour’s mother – CW #2 – went to check on him. The Complainant opened the door to CW #2 and started talking nonsensically about the military and police. His demeanour turned for the worse when his mother – CW #1 – returned home and tried to engage her son. The Complainant asked his mother to leave, prompting CW #1 and CW #2 to make their way over to CW #2’s home across the road.
A short time later, CW #2 returned to the Complainant’s residence. When the Complainant opened the door, CW #2 noticed a small fire on the stove and smoke coming from the kitchen. She asked the Complainant to put out the fire and step outside, but he declined. Arriving back at her house, CW #2 called 911. CW #1 rushed back to her residence where she found the door locked and her son refusing to open it. The time was about 6:30 p.m.
Firefighters began arriving at the scene to find the Complainant on the front porch in front of the door. Among the first at the residence was CW #3, the district chief of the SHFD. The Complainant refused to exit the house. The firefighter made his way to the front door and introduced himself to the Complainant. The Complainant was largely unresponsive and incoherent, but calmly replied in the negative when CW #3 asked him to exit the house.
The first of the officers to make it to the scene was SO #2. Advised by WO #3 that the Complainant was refusing to let the firefighters inside, the officer went to his cruiser, retrieved a battering ram, and took it with him to the front porch. He was met there by CW #1, who confirmed that the Complainant had locked all the doors. Through the glass panel of the door, SO #2 could see the Complainant leaning on the window, arms crossed, silent and clutching an axe. Smoke was visible in the air behind him.
SO #2 radioed a request for supporting officers to expedite their response to the scene and then stepped off the porch. CW #1 also stepped from the porch and was ushered down the driveway by CW #9, SHFD’s fire chief, who had arrived at the address. Within moments, SO #1 and WO #1 were at the scene running toward the front porch of the residence.
With SO #1 and WO #1 on the lawn in front of the porch, SO #2 again approached the front door with the ram in hand and proceeded to batter it open. As the door opened, the Complainant quickly emerged through the threshold onto the porch holding the axe. SO #2 had dropped the ram and stepped off the porch onto the driveway at this time. From a distance of about three metres, SO #2 drew his firearm and pointed it at the Complainant. As he did so, SO #1 yelled, “Taser, Taser, Taser,” and fired his CEW at the Complainant.
The Complainant was unfazed by the CEW deployment. He proceeded to step off the porch and began to advance toward the three officers, who had formed in a semi-circle pattern north of his location with SO #2 the furthest west, WO #1 the furthest east, and SO #1 in the middle. The officers, each with their firearms pointed at the Complainant, shouted at him to drop the axe and get to the ground. The Complainant did not stop his approach or drop the axe, and was shot by SO #2 and SO #1 in an initial volley of gunfire.
From a range of about two to four metres, and while backtracking in step with the Complainant’s approach, SO #1 shot at the Complainant several times and then, with a brief pause in between, several more times. All told, the evidence indicates SO #1 discharged his weapon four to six times. At about the same time, SO #2 fired his weapon four times from about the same distance as he too was moving back. The Complainant staggered and then fell to the ground on the driveway near the sidewalk.
As the Complainant was still holding the axe in his right hand, a plan quickly came together whereby WO #1 would discharge her CEW at the Complainant with the intention of incapacitating him as SO #2 moved in to remove the axe from his possession. SO #2 physically engaged the Complainant on the ground and was himself affected by the discharge of electrical current from WO #1’s weapon, which seemed to temporarily immobilize the Complainant but was unsuccessful in freeing the axe from his grasp. With both the Complainant and SO #2 on the ground next to each other, SO #1 stepped toward the Complainant and fired one to three shots in his direction. Following this second volley of gunfire, the Complainant dropped the axe, which was retrieved by SO #2.
SO #1 and WO #1, with the assistance of firefighters, performed CPR on the Complainant pending the arrival of paramedics. He was taken to hospital in an ambulance and declared deceased at 7:21 p.m.
At autopsy, the pathologist documented gunshot injuries to the Complainant’s torso, pelvic region, right upper arm, right forearm, posterior right forearm, right thigh, left thigh, lower left thigh/knee, left lower leg and neck. The pathologist was of the view that the injuries resulted from nine, ten or 11 separate gunshots.
The number of recovered cartridge cases and attributed to the firearms of either SO #2 or SO #1, together with the number of rounds contained in each officer’s firearm after the incident, indicates that SO #2 and SO #1 fired a total of four and seven times, respectively. Which bullet from whose gun caused which injury to the Complainant could not be determined.
The axe held by the Complainant during the incident was obtained by the SIU. It had a wooden handle and a metal head about 9 centimetres along its sharp edge.
Cause of Death
Relevant Legislation
Section 34, Criminal Code -- Defence - Use or threat of force
34 (1) A person is not guilty of an offence if
(a) They believe on reasonable grounds that force is being used against them or another person or that a threat of force is being made against them or another person;(b) The act that constitutes the offence is committed for the purpose of defending or protecting themselves or the other person from that use or threat of force; and(c) The act committed is reasonable in the circumstances.
(2) In determining whether the act committed is reasonable in the circumstances, the court shall consider the relevant circumstances of the person, the other parties and the act, including, but not limited to, the following factors:
(a) the nature of the force or threat;(b) the extent to which the use of force was imminent and whether there were other means available to respond to the potential use of force;(c) the person’s role in the incident;(d) whether any party to the incident used or threatened to use a weapon;(e) the size, age, gender and physical capabilities of the parties to the incident;(f) the nature, duration and history of any relationship between the parties to the incident, including any prior use or threat of force and the nature of that force or threat;(f.1) any history of interaction or communication between the parties to the incident;(g) the nature and proportionality of the person’s response to the use or threat of force; and(h) whether the act committed was in response to a use or threat of force that the person knew was lawful.
(3) Subsection (1) does not apply if the force is used or threatened by another person for the purpose of doing something that they are required or authorized by law to do in the administration or enforcement of the law, unless the person who commits the act that constitutes the offence believes on reasonable grounds that the other person is acting unlawfully.
Analysis and Director's Decision
In the evening of December 3, 2019, the Complainant was shot multiple times by two OPP officers just outside his home in Exeter. The officers had attended at the residence to assist firefighters who were endeavouring to enter the home to put out a kitchen fire. The Complainant, alone in the home, had armed himself with an axe and refused to open the door to allow the firefighters entry. Immediately after SO #2 forced the door open using a battering ram, he and two other officers – SO #1 and WO #1 – were confronted by the Complainant wielding the axe and approaching in their direction. Within seconds, SO #2 and SO #1 fired their guns at the Complainant. The Complainant would succumb to his gunshot wounds.
The SIU was notified of the incident and commenced an investigation, which has now concluded. SO #2 and SO #1 were each designated subject officers for purposes of the SIU investigation. On my assessment of the evidence, there are no reasonable grounds to believe that either subject officer committed a criminal offence in connection with the Complainant’s death.
Section 34 of the Criminal Code provides a legal justification for conduct that is pursued in self-defence or the defence of a third-party that might otherwise constitute an offence. In essence, a person is justified in such conduct to the extent that it was meant to thwart a reasonably apprehended use of force, or threatened use of force, against them or another person. In determining whether the conduct in question was reasonable, regard must be had to all the circumstances, including such considerations as the nature of the force or threat, the extent to which the use of force was imminent and whether there were other means available to respond to the potential use of force, and whether any party to the incident used or threatened to use a weapon.
Turning first to the initial volley of gunshots fired by SO #2 and SO #1, I am satisfied on reasonable grounds that both officers acted within the limits of justified force prescribed in section 34 of the Criminal Code.
I begin by noting that an officer’s foremost duty at common law is the preservation of life. SO #2 and SO #1 were engaged in the lawful execution of that duty when they arrived at the residence looking to assist the firefighters with entry into the Complainant’s home. They had good reason to believe that there was a fire in the kitchen, that the Complainant was not of sound mind, and that immediate entry was imperative in light of the clear risks of an unchecked fire to public safety, not merely the Complainant’s safety but also others present in the area.
SO #1 and SO #2 indicated in their SIU interviews that they fired their weapons believing it was necessary to protect themselves and others against an axe attack by the Complainant. By all accounts, the Complainant was advancing in a determined fashion, axe in hand, when the first series of shots rang out. Some of the eyewitnesses in the area described the Complainant’s disposition as angry. While the manner in which the Complainant held the axe was the subject of conflict in the evidence, some witnesses indicating that it was in one hand, and others saying that he held it in both hands in the fashion of a baseball bat, most if not all witnesses were of the view that the Complainant was wielding the axe as a weapon. In the circumstances, I accept that the officers’ stated apprehensions were genuine and reasonable at the time of the initial volley of gunfire.
I further accept that the first series of shots by SO #2 and SO #1 constituted a reasonable response by the officers in defence of themselves and others in the vicinity. By that time, the Complainant had neared to within two to four metres of the officers notwithstanding SO #1’s CEW deployment and the officers’ repeated commands that he stop and drop the axe.
The question is raised whether the officers, having backtracked a distance away from the home as the Complainant advanced on their position prior to the shooting, could have continued their retreat rather than shooting when they did. Perhaps, but I am not persuaded they were derelict in failing to do so. Certainly, withdrawal or complete disengagement was not a realistic option. There were many people in the vicinity of the home, including firefighters who had responded to the fire call, which would have given rise to a legitimate concern for their safety. Nor did the officers have the luxury of time to scan the area around them to see where others were located exactly; their attention, understandably, was squarely focused on the Complainant.
Finally, with respect to the numbers of shots that were fired – four by SO #2 and four to six by SO #1 – the evidence indicates that these occurred at about the same time and in relatively rapid succession. There does appear to have been a slight pause that marked a first and second set of shots by SO #1 in this series, but I am satisfied the gap does not make a material difference in the reasonableness analysis of SO #1’s conduct. The evidence indicates that the Complainant was standing throughout the initial volley of gunfire, and even moved forward a short distance before falling to the ground after the final shot. In the circumstances, and given the fraught nature of the moment in which events unfolded, I am unable to reasonably impute any material difference in the officers’ apprehensions of the threat level and the reasonableness of their conduct throughout the first volley of shots.
Once the Complainant was on the ground following the first volley of gunfire, he was shot again by SO #1. [4] Here, too, I am satisfied that SO #1’s conduct was cloaked in the protection of section 34 of the Code.
There is some dispute in the evidence as to the precise movements of the Complainant and SO #2 in the moments before the shot or shots. While most witnesses indicated that the Complainant was felled by the initial volley of gunfire, some had him on his knees when SO #2 moved in to attempt to physically disarm him, others had him lying on the ground. In addition, in some witness accounts, WO #1 discharged her CEW at the Complainant before SO #2 made contact with him. In other accounts, the CEW deployment is said to have occurred while SO #2 and the Complainant were physically engaged on the ground.
What is clear, however, is that the Complainant still had the axe in his right hand on the ground, that a further CEW discharge and physical intervention by SO #2 had been unsuccessful in dispossessing him of the axe, and that SO #2, apparently affected by the CEW discharge, had rolled off the Complainant and was lying beside him when SO #1 fired his gun. In the circumstances, I am unable to dismiss SO #1’s assertion that he shot the Complainant in order to protect SO #2 from an imminent axe attack. In the heat of the moment, and in the split-second he had to make a decision, it seems to me that SO #1’s apprehensions were honestly and reasonably held. That conclusion is, in my view, undisturbed whether SO #1 discharged his firearm once or up to three times given there is no suggestion of any interruption in the rapidity of the shots or that the Complainant dropped the axe any earlier than after the last shot.
Though I am satisfied there is no basis for proceeding with criminal charges against either subject officer, the Complainant’s death was tragic, made more so by his mental health at the time. The Complainant had struggled with mental illness for many years. On the day in question, he was very clearly in acute mental distress in the hours leading to the confrontation with the police. What he needed, more than anything, was medical attention. That, however, was not going to be possible unless immediate steps were taken to reach the Complainant, who in his altered state of mind had locked himself in his home and was refusing to come out with a small fire burning in the kitchen. In the circumstances, I cannot fault the officers for forcing the door open when they did. Nor am I able, for the foregoing reasons, to come to a reasonable belief that the officers were criminally responsible for the train of events that followed.
Date: November 23, 2020
Electronically approved by
Joseph Martino
Director
Special Investigations Unit
The SIU was notified of the incident and commenced an investigation, which has now concluded. SO #2 and SO #1 were each designated subject officers for purposes of the SIU investigation. On my assessment of the evidence, there are no reasonable grounds to believe that either subject officer committed a criminal offence in connection with the Complainant’s death.
Section 34 of the Criminal Code provides a legal justification for conduct that is pursued in self-defence or the defence of a third-party that might otherwise constitute an offence. In essence, a person is justified in such conduct to the extent that it was meant to thwart a reasonably apprehended use of force, or threatened use of force, against them or another person. In determining whether the conduct in question was reasonable, regard must be had to all the circumstances, including such considerations as the nature of the force or threat, the extent to which the use of force was imminent and whether there were other means available to respond to the potential use of force, and whether any party to the incident used or threatened to use a weapon.
Turning first to the initial volley of gunshots fired by SO #2 and SO #1, I am satisfied on reasonable grounds that both officers acted within the limits of justified force prescribed in section 34 of the Criminal Code.
I begin by noting that an officer’s foremost duty at common law is the preservation of life. SO #2 and SO #1 were engaged in the lawful execution of that duty when they arrived at the residence looking to assist the firefighters with entry into the Complainant’s home. They had good reason to believe that there was a fire in the kitchen, that the Complainant was not of sound mind, and that immediate entry was imperative in light of the clear risks of an unchecked fire to public safety, not merely the Complainant’s safety but also others present in the area.
SO #1 and SO #2 indicated in their SIU interviews that they fired their weapons believing it was necessary to protect themselves and others against an axe attack by the Complainant. By all accounts, the Complainant was advancing in a determined fashion, axe in hand, when the first series of shots rang out. Some of the eyewitnesses in the area described the Complainant’s disposition as angry. While the manner in which the Complainant held the axe was the subject of conflict in the evidence, some witnesses indicating that it was in one hand, and others saying that he held it in both hands in the fashion of a baseball bat, most if not all witnesses were of the view that the Complainant was wielding the axe as a weapon. In the circumstances, I accept that the officers’ stated apprehensions were genuine and reasonable at the time of the initial volley of gunfire.
I further accept that the first series of shots by SO #2 and SO #1 constituted a reasonable response by the officers in defence of themselves and others in the vicinity. By that time, the Complainant had neared to within two to four metres of the officers notwithstanding SO #1’s CEW deployment and the officers’ repeated commands that he stop and drop the axe.
The question is raised whether the officers, having backtracked a distance away from the home as the Complainant advanced on their position prior to the shooting, could have continued their retreat rather than shooting when they did. Perhaps, but I am not persuaded they were derelict in failing to do so. Certainly, withdrawal or complete disengagement was not a realistic option. There were many people in the vicinity of the home, including firefighters who had responded to the fire call, which would have given rise to a legitimate concern for their safety. Nor did the officers have the luxury of time to scan the area around them to see where others were located exactly; their attention, understandably, was squarely focused on the Complainant.
Finally, with respect to the numbers of shots that were fired – four by SO #2 and four to six by SO #1 – the evidence indicates that these occurred at about the same time and in relatively rapid succession. There does appear to have been a slight pause that marked a first and second set of shots by SO #1 in this series, but I am satisfied the gap does not make a material difference in the reasonableness analysis of SO #1’s conduct. The evidence indicates that the Complainant was standing throughout the initial volley of gunfire, and even moved forward a short distance before falling to the ground after the final shot. In the circumstances, and given the fraught nature of the moment in which events unfolded, I am unable to reasonably impute any material difference in the officers’ apprehensions of the threat level and the reasonableness of their conduct throughout the first volley of shots.
Once the Complainant was on the ground following the first volley of gunfire, he was shot again by SO #1. [4] Here, too, I am satisfied that SO #1’s conduct was cloaked in the protection of section 34 of the Code.
There is some dispute in the evidence as to the precise movements of the Complainant and SO #2 in the moments before the shot or shots. While most witnesses indicated that the Complainant was felled by the initial volley of gunfire, some had him on his knees when SO #2 moved in to attempt to physically disarm him, others had him lying on the ground. In addition, in some witness accounts, WO #1 discharged her CEW at the Complainant before SO #2 made contact with him. In other accounts, the CEW deployment is said to have occurred while SO #2 and the Complainant were physically engaged on the ground.
What is clear, however, is that the Complainant still had the axe in his right hand on the ground, that a further CEW discharge and physical intervention by SO #2 had been unsuccessful in dispossessing him of the axe, and that SO #2, apparently affected by the CEW discharge, had rolled off the Complainant and was lying beside him when SO #1 fired his gun. In the circumstances, I am unable to dismiss SO #1’s assertion that he shot the Complainant in order to protect SO #2 from an imminent axe attack. In the heat of the moment, and in the split-second he had to make a decision, it seems to me that SO #1’s apprehensions were honestly and reasonably held. That conclusion is, in my view, undisturbed whether SO #1 discharged his firearm once or up to three times given there is no suggestion of any interruption in the rapidity of the shots or that the Complainant dropped the axe any earlier than after the last shot.
Though I am satisfied there is no basis for proceeding with criminal charges against either subject officer, the Complainant’s death was tragic, made more so by his mental health at the time. The Complainant had struggled with mental illness for many years. On the day in question, he was very clearly in acute mental distress in the hours leading to the confrontation with the police. What he needed, more than anything, was medical attention. That, however, was not going to be possible unless immediate steps were taken to reach the Complainant, who in his altered state of mind had locked himself in his home and was refusing to come out with a small fire burning in the kitchen. In the circumstances, I cannot fault the officers for forcing the door open when they did. Nor am I able, for the foregoing reasons, to come to a reasonable belief that the officers were criminally responsible for the train of events that followed.
Date: November 23, 2020
Electronically approved by
Joseph Martino
Director
Special Investigations Unit
Endnotes
- 1) An additional spent cartridge case was subsequently located at the scene by a neighbour and collected by the SIU. [Back to text]
- 2) The times referenced in this section were those recorded by the internal timeclocks of the CEWs in question, which were not necessarily synced with actual time. [Back to text]
- 3) Two of the 14 cartridge cases had been recovered from SO #1’s vest and were brass cartridge cases. Brass cartridge cases were normally used in police training and not in the line of duty. [Back to text]
- 4) SO #1 told the SIU he believes he discharged a single round at this time. There is sufficient evidence from other witnesses, however, to suggest that SO #1 may have in fact fired his weapon twice and perhaps even three times. [Back to text]
Note:
The signed English original report is authoritative, and any discrepancy between that report and the French and English online versions should be resolved in favour of the original English report.