SIU Director’s Report - Case # 20-OVI-191
Warning:
This page contains graphic content that can shock, offend and upset.
Contents:
Mandate of the SIU
The Special Investigations Unit is a civilian law enforcement agency that investigates incidents involving police officers where there has been death, serious injury or allegations of sexual assault. The Unit’s jurisdiction covers more than 50 municipal, regional and provincial police services across Ontario.
Under the Police Services Act, the Director of the SIU must determine based on the evidence gathered in an investigation whether an officer has committed a criminal offence in connection with the incident under investigation. If, after an investigation, there are reasonable grounds to believe that an offence was committed, the Director has the authority to lay a criminal charge against the officer. Alternatively, in all cases where no reasonable grounds exist, the Director does not lay criminal charges but files a report with the Attorney General communicating the results of an investigation.
Under the Police Services Act, the Director of the SIU must determine based on the evidence gathered in an investigation whether an officer has committed a criminal offence in connection with the incident under investigation. If, after an investigation, there are reasonable grounds to believe that an offence was committed, the Director has the authority to lay a criminal charge against the officer. Alternatively, in all cases where no reasonable grounds exist, the Director does not lay criminal charges but files a report with the Attorney General communicating the results of an investigation.
Information Restrictions
Freedom of Information and Protection of Privacy Act (“FIPPA”)
Pursuant to section 14 of FIPPA (i.e., law enforcement), certain information may not be included in this report. This information may include, but is not limited to, the following:- Confidential investigative techniques and procedures used by law enforcement agencies; and
- Information whose release could reasonably be expected to interfere with a law enforcement matter or an investigation undertaken with a view to a law enforcement proceeding.
- Subject Officer name(s);
- Witness Officer name(s);
- Civilian Witness name(s);
- Location information;
- Witness statements and evidence gathered in the course of the investigation provided to the SIU in confidence; and
- Other identifiers which are likely to reveal personal information about individuals involved in the investigation.
Personal Health Information Protection Act, 2004 (“PHIPA”)
Pursuant to PHIPA, any information related to the personal health of identifiable individuals is not included. Other proceedings, processes, and investigations
Information may have also been excluded from this report because its release could undermine the integrity of other proceedings involving the same incident, such as criminal proceedings, coroner’s inquests, other public proceedings and/or other law enforcement investigations.Mandate Engaged
The Unit’s investigative jurisdiction is limited to those incidents where there is a serious injury (including sexual assault allegations) or death in cases involving the police.
“Serious injuries” shall include those that are likely to interfere with the health or comfort of the victim and are more than merely transient or trifling in nature and will include serious injury resulting from sexual assault. “Serious Injury” shall initially be presumed when the victim is admitted to hospital, suffers a fracture to a limb, rib or vertebrae or to the skull, suffers burns to a major portion of the body or loses any portion of the body or suffers loss of vision or hearing, or alleges sexual assault. Where a prolonged delay is likely before the seriousness of the injury can be assessed, the Unit should be notified so that it can monitor the situation and decide on the extent of its involvement.
This report relates to the SIU’s investigation into the injury that a 47-year-old woman (the “Complainant”) suffered.
“Serious injuries” shall include those that are likely to interfere with the health or comfort of the victim and are more than merely transient or trifling in nature and will include serious injury resulting from sexual assault. “Serious Injury” shall initially be presumed when the victim is admitted to hospital, suffers a fracture to a limb, rib or vertebrae or to the skull, suffers burns to a major portion of the body or loses any portion of the body or suffers loss of vision or hearing, or alleges sexual assault. Where a prolonged delay is likely before the seriousness of the injury can be assessed, the Unit should be notified so that it can monitor the situation and decide on the extent of its involvement.
This report relates to the SIU’s investigation into the injury that a 47-year-old woman (the “Complainant”) suffered.
The Investigation
Notification of the SIU
On July 30, 2020, the London Police Service (LPS) reported an injury to the Complainant.The LPS reported that on July 30, 2020, at 6:40 p.m., a vehicle driven by the Complainant collided with an LPS marked police cruiser driven by the Subject Officer (SO) at the intersection of Nelson Street and Adelaide Street North.
The Complainant was taken to London Health Sciences University Hospital (UH). The SO was also brought to hospital for assessment but was medically cleared.
A business close by may have captured the incident on video.
A civilian truck driver, the Civilian Witness (CW), captured the incident on his dash camera and had provided a copy of the video to LPS.
The Team
Number of SIU Investigators assigned: 4Number of SIU Forensic Investigators assigned: 2
Complainants
Complainant: 47-year-old female interviewed, medical records obtained and reviewedCivilian Witnesses
CW InterviewedWitness Officers
WO InterviewedSubject Officers
SO Declined interview, as is the subject officer’s legal right. Notes received and reviewed.Evidence
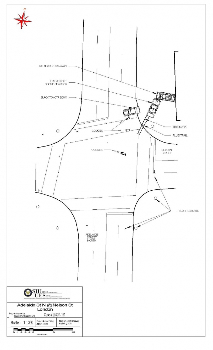
The Scene
Adelaide Street North was oriented in a north-south direction and Nelson Street was oriented in an east-west direction. The road markings allowed for traffic to flow in opposite directions and the intersection was controlled by automated traffic control signals. The traffic control signals appeared to be cycling normally. Gouge marks were visible on the roadway portion of the intersection.
Vehicles
Vehicle #2 – Police vehicle. A Dodge Charger four-door, marked with an identified number as part of the LPS’s police cruiser fleet, with an identified Ontario licence plate number. The police cruiser was resting off the roadway on the property area of an identified address on Adelaide Street North. It was on the east side of Adelaide Street North and slightly north of Nelson Street facing northeast. The front end of the police cruiser was in contact with a red Dodge Caravan that was parked and faced west on the lot. There was extensive damage to the front end.
Scene Diagram

Expert Evidence
Reconstruction Report
At the intersection with Nelson Street a large truck equipped with an operating dash cam was stopped facing north in the passing northbound lane of Adelaide Street North with the left turn signal activated, while southbound traffic on Adelaide Street North continued to proceed through the intersection. Just before entering the intersection, the SO slowed to 68 km/h in the curb northbound lane, passing the large truck on its right side.
At the same time, the Complainant operated a Toyota Echo southbound in the passing southbound lane of Adelaide Street North approaching Nelson Street. Because of the truck, neither driver would be able to see the other. The Complainant slowed to a rolling stop at the stop bar for slightly more than one second, then accelerated at an average speed of 22.3 km/h turning left to travel eastbound on Nelson Street, in front of the SO.
Without significant pre-collision braking, the complete front of the police cruiser impacted the right front of the Toyota Echo. The Echo was spun counter-clockwise and came to rest facing west in the curb northbound lane of Adelaide Street North just north of the intersection. Both drivers were wearing seat belts. The police cruiser was redirected to the northeast with marginal braking occurring. It mounted the northeast sidewalk and entered the front parking lot of an identified business. The front-end struck an unattended Dodge Caravan which was parked facing west in the front parking lot of that business.
Video/Audio/Photographic Evidence
The SIU canvassed the area for any video or audio recordings, and photographic evidence, and was able to locate the following:- The CW’s Dash Camera Video; and
- Closed-circuit Television (CCTV) footage from a nearby business.
The CW’s Dash Camera Video
CCTV Footage from a Nearby Business
At 6:40:13 p.m. according to the timestamp on the video, a large white truck approached the green light, travelling northbound on Adelaide Street North. The truck slowed down to turn left, or westbound onto Nelson Street. The light was still green, and traffic was light and flowed northbound and southbound on Adelaide Street North.
A black Toyota Echo [now known to have been driven by the Complainant] approached the intersection. She too was turning left, only eastbound onto Nelson Street. The Complainant slowed down before turning left, but she never stopped; she never inched forward to safely make the left turn. She turned left and crossed the northbound curb lane, where a marked police cruiser was driving northbound in the curb lane on a green light. The police cruiser did not have its emergency lighting activated.
The police cruiser struck the Toyota Echo at the right front quarter panel and it spun around once counter-clockwise. The police cruiser veered to the right, into a parked van at the identified business.
The SO exited the police cruiser and was talking on his police radio. He walked over to check on the Complainant who was still in the driver’s seat of her Toyota Echo. The Complainant walked out of her car and held her left arm as if it was injured.
Materials obtained from Police Service
Upon request the SIU obtained and reviewed the following materials and documents from the LPS:- Automatic Vehicle Locator (AVL) – Global Positioning Satellite (GPS) data from the LPS police cruiser that was involved in this incident;
- Will State-the WO;
- Will State-the SO; and
- Memo Book Notes-the SO.
Materials obtained from Other Sources
In addition to the materials received from the LPS, the SIU obtained and reviewed the following materials from other sources:- The Complainant’s Medical Record- London Health Sciences Centre-UH;
- Dash Cam Footage from the CW; and
- CCTV footage from a nearby business.
Incident Narrative
The material events in question are clear on the evidence, which included interviews with the Complainant and a CW who had observed the collision. The investigation also benefitted from two video recordings – one from the CW’s dash camera and the other from a security camera in the area – that captured the collision, and a review of GPS data associated with the SO’s cruiser.
In the evening of the day in question, the Complainant was driving a Toyota Echo south on Adelaide Street North approaching the roadway’s intersection with Nelson Street. At the same time, the SO was on-duty and traveling north on Adelaide Street North toward Nelson Street. His intention was to proceed straight through the intersection. Each vehicle entered the intersection on a green light. They collided as the Complainant’s vehicle turned left in front of the police cruiser.
The Complainant was transported by ambulance to the UH in London where she was diagnosed with a fracture to the radial bone in one of her arms.
In the evening of the day in question, the Complainant was driving a Toyota Echo south on Adelaide Street North approaching the roadway’s intersection with Nelson Street. At the same time, the SO was on-duty and traveling north on Adelaide Street North toward Nelson Street. His intention was to proceed straight through the intersection. Each vehicle entered the intersection on a green light. They collided as the Complainant’s vehicle turned left in front of the police cruiser.
The Complainant was transported by ambulance to the UH in London where she was diagnosed with a fracture to the radial bone in one of her arms.
Relevant Legislation
Section 320.13 (2), Criminal Code – Operation causing bodily harm
320.13 (2) Everyone commits an offence who operates a conveyance in a manner that, having regard to all of the circumstances, is dangerous to the public and, as a result, causes bodily harm to another person.
Section 141 (5), Highway Traffic Act -- Left turn, across path of approaching vehicle
141 (5) No driver or operator of a vehicle in an intersection shall turn left across the path of a vehicle approaching from the opposite direction unless he or she has afforded a reasonable opportunity to the driver or operator of the approaching vehicle to avoid a collision.
Analysis and Director's Decision
On July 30, 2020, the Complainant was involved in a motor vehicle collision that resulted in a fracture of one of her arms. Her vehicle collided with an LPS cruiser, which was being operated at the time by the SO. The SO was identified as the SO in the SIU investigation that ensued. On my assessment of the evidence, there are no reasonable grounds to believe that the SO committed a criminal offence in connection with the collision and the Complainant’s injury.
The offence that arises for consideration is dangerous driving causing bodily harm contrary to section 320.13(2) of the Criminal Code. As a crime of penal negligence, liability for the offence is not made out unless the conduct in question amounts to a marked departure from a reasonable level of care in the circumstances. I am satisfied that the manner in which the SO operated his cruiser in the moments leading to the collision did not transgress the limits of care prescribed by the criminal law.
As section 141(5) of the HTA makes clear, there is a heavy onus on motorists to refrain from making left turns at intersections unless they can do so safely. It would appear that the Complainant failed in that obligation. While the Complainant initially slowed her vehicle as it entered the intersection, the video evidence establishes that she then accelerated into her left turn directly into the path of the SO, who was unable to avoid a collision.
At play in the collision was a truck stopped at the intersection facing north and waiting for southbound traffic to clear before making a left turn onto Nelson Street. Its presence and position created a visual obstruction such that the SO and the Complainant were unable to see each other as they approached the intersection from opposite directions. That was all the more reason, however, for the Complainant to take added precautions before making her left turn. Unfortunately, instead of “inching forward” or refraining from making her left turn altogether until the obstruction was gone, the Complainant accelerated past the truck and into the path of the cruiser.
Arguably, the SO, approaching as he was a visual obstruction, ought to have contemplated the potential presence of a left-turning vehicle and slowed his cruiser. Instead, it appears he maintained a fairly constant velocity of about 70 km/h as he neared and then entered into the intersection. This was in excess of the 50 km/h speed limit in the area. That said, it bears noting that the SO, on my review of the video evidence, was traveling at about the same speed as other traffic proceeding through the intersection in the moments before the collision. This does not excuse the officer’s speed, but it is a mitigating factor in the reasonableness assessment of the Complainant’s conduct.
In the final analysis, weighed in the balance against the Complainant’s overriding obligation to ensure she could complete her turn in safety, I am unable to reasonably conclude that the SO’s speed – above the speed limit but in keeping with the flow of traffic around him – amounted to a marked deviation from a reasonable level of care in the circumstances. Accordingly, there is no basis for proceeding with charges in this case, and the file is closed.
Date: September 9, 2020
Electronically approved by
Joseph Martino
Director
Special Investigations Unit
The offence that arises for consideration is dangerous driving causing bodily harm contrary to section 320.13(2) of the Criminal Code. As a crime of penal negligence, liability for the offence is not made out unless the conduct in question amounts to a marked departure from a reasonable level of care in the circumstances. I am satisfied that the manner in which the SO operated his cruiser in the moments leading to the collision did not transgress the limits of care prescribed by the criminal law.
As section 141(5) of the HTA makes clear, there is a heavy onus on motorists to refrain from making left turns at intersections unless they can do so safely. It would appear that the Complainant failed in that obligation. While the Complainant initially slowed her vehicle as it entered the intersection, the video evidence establishes that she then accelerated into her left turn directly into the path of the SO, who was unable to avoid a collision.
At play in the collision was a truck stopped at the intersection facing north and waiting for southbound traffic to clear before making a left turn onto Nelson Street. Its presence and position created a visual obstruction such that the SO and the Complainant were unable to see each other as they approached the intersection from opposite directions. That was all the more reason, however, for the Complainant to take added precautions before making her left turn. Unfortunately, instead of “inching forward” or refraining from making her left turn altogether until the obstruction was gone, the Complainant accelerated past the truck and into the path of the cruiser.
Arguably, the SO, approaching as he was a visual obstruction, ought to have contemplated the potential presence of a left-turning vehicle and slowed his cruiser. Instead, it appears he maintained a fairly constant velocity of about 70 km/h as he neared and then entered into the intersection. This was in excess of the 50 km/h speed limit in the area. That said, it bears noting that the SO, on my review of the video evidence, was traveling at about the same speed as other traffic proceeding through the intersection in the moments before the collision. This does not excuse the officer’s speed, but it is a mitigating factor in the reasonableness assessment of the Complainant’s conduct.
In the final analysis, weighed in the balance against the Complainant’s overriding obligation to ensure she could complete her turn in safety, I am unable to reasonably conclude that the SO’s speed – above the speed limit but in keeping with the flow of traffic around him – amounted to a marked deviation from a reasonable level of care in the circumstances. Accordingly, there is no basis for proceeding with charges in this case, and the file is closed.
Date: September 9, 2020
Electronically approved by
Joseph Martino
Director
Special Investigations Unit
Note:
The signed English original report is authoritative, and any discrepancy between that report and the French and English online versions should be resolved in favour of the original English report.