Rapport du directeur de l’Unité des enquêtes spéciales - Dossier nº 22-OVI-066
Attention :
Cette page affiche un contenu graphique pouvant choquer, offenser et déranger.
Contenus:
Mandat de l’UES
L’Unité des enquêtes spéciales (« l’UES » ou « l’Unité ») est un organisme civil d’exécution de la loi qui enquête sur les incidents mettant en cause un agent et impliquant un décès, une blessure grave, la décharge d’une arme à feu contre une personne ou une allégation d’agression sexuelle. Selon la définition de la Loi de 2019 sur l’Unité des enquêtes spéciales (Loi sur l’UES), « agents » s’entend des agents de police, des agents spéciaux employés par la Commission des parcs du Niagara et des agents de la paix en vertu de la Loi sur l’Assemblée législative. La compétence de l’UES s’étend à plus de 50 corps de police municipaux, régionaux et provinciaux en Ontario.
En vertu de la Loi sur l’UES, le directeur de l’UES doit établir, d’après les preuves recueillies dans le cadre d’une enquête, s’il existe des motifs raisonnables de croire qu’un agent a commis une infraction criminelle. Si de tels motifs existent, le directeur a le pouvoir de faire porter une accusation criminelle contre cet agent. Par contre, en l’absence de tels motifs, le directeur ne peut pas porter d’accusation. Dans ce cas, un rapport d’enquête est rédigé et rendu public, sauf s’il portait sur des allégations d’agression sexuelle, auquel cas le directeur de l’UES peut consulter la personne concernée et exercer son pouvoir discrétionnaire de ne pas publier le rapport pour protéger la vie privée de la personne concernée.
En vertu de la Loi sur l’UES, le directeur de l’UES doit établir, d’après les preuves recueillies dans le cadre d’une enquête, s’il existe des motifs raisonnables de croire qu’un agent a commis une infraction criminelle. Si de tels motifs existent, le directeur a le pouvoir de faire porter une accusation criminelle contre cet agent. Par contre, en l’absence de tels motifs, le directeur ne peut pas porter d’accusation. Dans ce cas, un rapport d’enquête est rédigé et rendu public, sauf s’il portait sur des allégations d’agression sexuelle, auquel cas le directeur de l’UES peut consulter la personne concernée et exercer son pouvoir discrétionnaire de ne pas publier le rapport pour protéger la vie privée de la personne concernée.
Restrictions concernant la divulgation de renseignements
Loi de 2019 sur l’Unité des enquêtes spéciales
En vertu de l’article 34, certains renseignements peuvent être omis de ce rapport, notamment :- le nom d’un agent impliqué, d’un agent témoin, d’un témoin civil ou d’une personne concernée, ainsi que tout renseignement permettant d’identifier ces personnes;
- des renseignements qui pourraient amener à ce que l’identité d’une personne ayant signalé avoir été agressée sexuellement soit révélée dans le contexte de l’agression sexuelle;
- des renseignements qui, de l’avis du directeur de l’UES, peuvent présenter un risque de préjudice grave pour une personne;
- des renseignements qui divulguent des techniques ou méthodes d’enquête;
- des renseignements dont la diffusion est interdite ou restreinte par la loi;
- des renseignements pour lesquels la protection de la vie privée d’une personne obtenue grâce à leur non-publication l’emporte clairement sur l’intérêt public de les publier.
Loi sur l’accès à l’information et la protection de la vie privée
En vertu de l’article 14 (article relatif à l’exécution de la loi), certains renseignements peuvent être omis de ce rapport, notamment :- des renseignements qui révèlent des techniques ou méthodes d’enquête confidentielles utilisées par des organismes chargés de l’exécution de la loi;
- des renseignements dont on pourrait raisonnablement s’attendre à ce que leur divulgation ait pour effet de faire obstacle à une question qui concerne l’exécution de la loi ou à une enquête menée préalablement à une instance judiciaire.
- les noms de personnes, y compris des témoins civils et des agents impliqués et témoins;
- des renseignements sur le lieu de l’incident;
- les déclarations des témoins et les éléments de preuve qui ont été fournis à l’UES à titre confidentiel dans le cadre de l’enquête;
- d’autres identifiants susceptibles de révéler des renseignements personnels sur les personnes concernées par l’enquête.
Loi de 2004 sur la protection des renseignements personnels sur la santé
En vertu de cette loi, le présent document ne contient aucun renseignement personnel sur la santé de personnes identifiables.Autres instances, processus et enquêtes
Il se peut que certains renseignements aient été omis du présent rapport parce que leur divulgation pourrait compromettre l’intégrité d’autres instances liées au même incident, par exemple des instances pénales, des enquêtes du coroner, d’autres instances publiques ou d’autres enquêtes menées par des organismes d’exécution de la loi.Exercice du mandat
En vertu de l’article 15 de la Loi sur l’UES, l’UES peut enquêter sur la conduite d’agents (agents de police, agents spéciaux de la Commission des parcs du Niagara ou agents de la paix en vertu de Loi sur l’Assemblée législative) qui pourrait avoir entraîné un décès, des blessures graves, une agression sexuelle ou la décharge d’une arme à feu contre une personne.
Une personne subit une « blessure grave » qui relève de la compétence de l’UES si, selon le cas : elle subit une blessure pour laquelle elle est admise à l’hôpital, elle souffre d’une fracture du crâne, d’un membre, d’une côte ou d’une vertèbre, elle souffre de brûlures sur une grande partie du corps, ou elle subit une perte de la vision ou de l’ouïe par suite d’une blessure.
De plus, une « blessure grave » désigne toute autre blessure subie par une personne susceptible d’avoir des répercussions sur la santé ou le confort de cette personne et qui n’est pas de nature passagère ou bénigne.
Le présent rapport porte sur l’enquête menée par l’UES sur les blessures subies par un homme de 22 ans (le « plaignant »).
Une personne subit une « blessure grave » qui relève de la compétence de l’UES si, selon le cas : elle subit une blessure pour laquelle elle est admise à l’hôpital, elle souffre d’une fracture du crâne, d’un membre, d’une côte ou d’une vertèbre, elle souffre de brûlures sur une grande partie du corps, ou elle subit une perte de la vision ou de l’ouïe par suite d’une blessure.
De plus, une « blessure grave » désigne toute autre blessure subie par une personne susceptible d’avoir des répercussions sur la santé ou le confort de cette personne et qui n’est pas de nature passagère ou bénigne.
Le présent rapport porte sur l’enquête menée par l’UES sur les blessures subies par un homme de 22 ans (le « plaignant »).
L’enquête
Notification de l’UES
Le 6 mars 2022 à 14 h 28, le Service de police de London (SPL) a contacté l’UES et a signalé ce qui suit.Le 6 mars 2022, vers 13 h 22, un agent du SPL — l’agent impliqué (AI) — conduisait un véhicule de police identifié lorsqu’il s’est arrêté à côté d’un motocycliste et a activé ses gyrophares, dans le secteur de la rue St. George et de la rue Oxford, à London. L’agent a fait signe au conducteur de se ranger sur le côté de la route. Le motocycliste l’a ignoré, a traversé quatre voies de circulation et a continué son chemin sur la rue St. George. L’agent a traversé les quatre voies de l’intersection, a éteint ses gyrophares et s’est dirigé dans la même direction.
Vers 13 h 25, l’agent est arrivé sur les lieux d’une collision automobile qui était survenue entre cette même moto et le véhicule d’un civil, dans le secteur des rues St. George et Regent, à London. Le motocycliste et le civil ont tous deux été transportés au London Health Sciences Centre.
Le motocycliste avait subi une lacération à une jambe et a dû être hospitalisé. Le civil aurait seulement subi des blessures aux tissus mous.
L’équipe
Date et heure de l’envoi de l’équipe : 6 mars 2022 à 17 h 15Date et heure d’arrivée de l’UES sur les lieux : 6 mars 2022 à 17 h 32
Nombre d’enquêteurs de l’UES assignés : 5
Nombre d’enquêteurs spécialistes des sciences judiciaires de l’UES assignés : 2
Nombre de spécialistes de la reconstitution des collisions de l’UES assignés : 1
L’UES a ratissé le secteur pour trouver des témoins et des caméras.
Les enquêteurs spécialistes des sciences judiciaires ont inspecté les lieux. Ils ont pris des photographies et des vidéos du trajet emprunté. Ils l’ont également mesuré au moyen d’un appareil Total Station en vue de préparer un schéma judiciaire.
L’UES a convenu avec le SPL que ce dernier allait préparer un rapport de reconstitution complet qui serait ensuite examiné par un spécialiste de la reconstitution de l’UES.
Personne concernée (« plaignant ») :
A participé à une entrevueLe plaignant a participé à une entrevue le 6 mars 2022.
Témoins civils
TC no 1 A participé à une entrevue TC no 2 A participé à une entrevue
TC no 3 A participé à une entrevue
TC no 4 A participé à une entrevue
TC no 5 A participé à une entrevue
TC no 6 A participé à une entrevue
TC no 7 A participé à une entrevue
TC no 8 A participé à une entrevue
TC no 9 A participé à une entrevue
Les témoins civils ont participé à des entrevues entre le 7 et le 14 mars 2022.
Agent impliqué
AI N’a pas consenti à se soumettre à une entrevue, comme la loi l’y autorise en tant qu’agent impliqué; ses notes ont été reçues et examinées. Agents témoins
AT A participé à une entrevue L’agent témoin a participé à une entrevue le 8 mars 2022.
Éléments de preuve
Les lieux
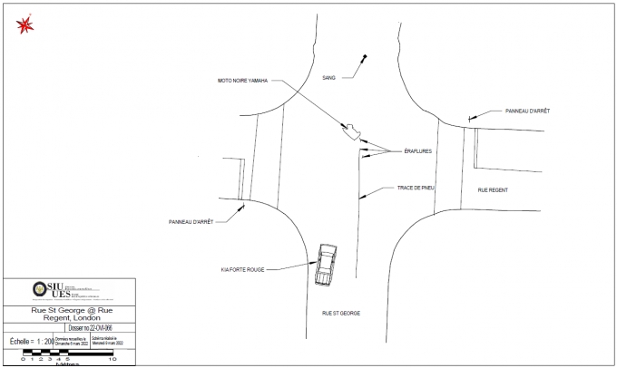
La rue St. George est principalement orientée nord-sud. Il s’agit d’une route pavée à deux voies qui traverse une zone résidentielle. Il n’y avait aucune ligne peinte sur la chaussée. La rue Regent, qui a une orientation est-ouest, croise la rue St. George. Il y a des panneaux d’arrêt à l’intersection. La rue Regent est également une route pavée à deux voies. Une ligne centrale était peinte sur la chaussée.
Il y avait deux véhicules accidentés à l’intérieur de la zone qui avait été bouclée.
Moto Yamaha 2001
La moto noire reposait sur son côté droit, en direction sud-est, près du milieu de l’intersection. Elle avait été lourdement endommagée lors de la collision. Une zone d’impact a été localisée sur la chaussée, légèrement à l’est de la moto. Une marque de pneu a également été repérée à l’est de la moto, indiquant que la moto se déplaçait en direction nord sur la rue St. George, jusqu’au moment de la collision.
Kia Forte 2013
Le véhicule rouge était immobilisé en direction sud sur la rue St. George, au sud de l’intersection. La porte arrière et le panneau latéral du côté conducteur affichaient des dommages importants.Schéma des lieux

Preuves d’expert
Le spécialiste en reconstruction de l’UES a analysé les données provenant du système de localisation GPS du véhicule de l’AI.Voici un résumé des données GPS pertinentes.
Vers 13 h 20, le véhicule de police est sorti d’un stationnement situé sur le côté sud de la rue Oxford Est, juste à l’ouest de la rue Waterloo, et s’est dirigé vers l’ouest sur la rue Oxford Est, atteignant une vitesse maximale de 63 km/h.
Entre 13 h 21 min 21 s et 13 h 22 min 41 s, environ, le véhicule de police était immobilisé sur la rue Oxford Est, juste à l’est de l’intersection de la rue Oxford Est et de la rue Richmond.
Entre 13 h 22 min 46 s et 13 h 23 min 1 s, environ, le véhicule de police a tourné à gauche sur la rue Richmond et a roulé en direction sud sur une distance d’environ 115 mètres. La vitesse maximale enregistrée était de 40 km/h. Le véhicule de police a ensuite tourné à droite sur la rue Piccadilly, en direction ouest.
Entre 13 h 23 min 1 s et 13 h 23 min 16 s, environ, le véhicule de police s’est dirigé vers l’ouest sur la rue Piccadilly, jusqu’à ce qu’il atteigne la rue St. George. D’après Google Maps, la rue Piccadilly était une rue à sens unique permettant de circuler en direction ouest. La distance parcourue était d’environ 175 mètres. La vitesse maximale enregistrée était de 56 km/h.
Vers 13 h 23 min 16 s, le véhicule de police a tourné à droite pour se diriger vers le nord sur la rue St. George.
Vers 13 h 23 min 31 s, le véhicule de police s’est arrêté en direction du nord sur la rue St. George, à la hauteur de la rue Oxford Est où, selon Google Maps, il y avait un panneau d’arrêt pour la rue St-George. Depuis l’intersection de la rue Piccadilly et de la rue St. George [où l’AI croit avoir activé ses feux d’urgence clignotants pour la première fois] jusqu’à l’intersection de la rue St. George et de la rue Oxford Est [où l’AI a eu une interaction verbale avec le plaignant], l’AI a parcouru une distance d’environ 100 mètres en 15 secondes environ, ce qui correspond à une vitesse moyenne de plus ou moins 23 km/h. La vitesse maximale enregistrée était de 35 km/h.
Vers 13 h 23 min 56 s (environ 25 secondes après s’être arrêté), le véhicule de police a traversé l’intersection de la rue St. George et de la rue Oxford Est et s’est dirigé vers le nord.
Entre 13 h 24 min 1 s et 13 h 25 min 6 s, environ, le véhicule de police a roulé en direction nord sur la rue St. George. Il a dépassé la rue Sydenham où, d’après Google Maps, le trafic provenant de la rue St. George avait la priorité, et la rue St. James, où il y avait des panneaux d’arrêt quatre sens. Les données démontraient que l’AI avait ralenti jusqu’à 18 km/h au moins (et peut-être plus) lorsqu’il est arrivé au panneau d’arrêt quatre sens à l’intersection des rues St. George et St. James.
Le véhicule de police a continué en direction nord et a dépassé l’avenue College, où la circulation provenant de la rue St. George avait la priorité, et la rue Grosvenor, où il y avait un panneau d’arrêt quatre sens. Les données démontraient que l’AI avait ralenti jusqu’à 8 km/h au moins (et peut-être plus) lorsqu’il est arrivé au panneau d’arrêt quatre sens à l’intersection des rues St. George et Grosvenor. Le véhicule de police a continué en direction nord sur la rue St. George et a dépassé la rue Cromwell, où la circulation de la rue St. George avait la priorité.
Vers 13 h 25 min 6 s, le véhicule de police se trouvait sur la rue St. George, en direction nord, à la hauteur de la rue Cheapside, qui correspondait au troisième panneau d’arrêt quatre sens sur la rue St. George, entre la rue Oxford Est et la rue Cheapside. L’AI a ralenti jusqu’à au moins 26 km/h (et peut-être plus). La distance parcourue en direction nord sur la rue St. George, de la rue Oxford Est à la rue Cheapside, était d’environ 725 mètres. Sa vitesse moyenne était d’environ 34 km/h, et la vitesse maximale enregistrée était de 50 km/h environ.
Entre 13 h 25 min 11 s et 13 h 25 min 41 s, environ, l’AI a roulé en direction nord sur la rue St. George. Il a dépassé la rue Bridport, où il n’y avait pas de signalisation de contrôle de la circulation pour la rue St. George, et la rue Victoria, où il a ralenti à au moins 32 km/h (et peut-être plus). Il a dépassé l’avenue Sherwood, où il n’y avait pas de signalisation de contrôle de la circulation pour la rue St. George. Depuis la rue Cheapside, il a roulé en direction du nord sur la rue St. George jusqu’au lieu de la collision, à la hauteur de la rue Regent, à une vitesse moyenne d’environ 56 km/h. La vitesse maximale enregistrée pour cette partie du trajet était de 66 km/h.
Vers 13 h 25 min 46 s, le véhicule de police était immobile sur les lieux de la collision, où il est resté pendant le reste des données GPS fournies.
De l’intersection des rues St. George et Oxford Est, où l’AI a eu une interaction verbale avec le plaignant, jusqu’au lieu de la collision, à l’intersection des rues St. George et Regent, l’AI a parcouru une distance d’environ 1,2 kilomètre. Il a parcouru cette distance en environ 1 min 45 s, ce qui correspond à une vitesse moyenne d’environ 41 km/h. Sa vitesse maximale, qui était de 66 km/h, a été enregistrée juste au sud de la rue Regent, alors qu’il s’approchait du lieu de la collision.
Éléments de preuve sous forme de vidéos, d’enregistrements audio ou de photographies [1]
L’UES a obtenu des vidéos et des enregistrements audio pertinents pour l’enquête, dont le contenu est décrit ci-dessous. Enregistrements de communications
Le 7 mars 2022, l’UES a reçu les enregistrements des communications du SPL. Voici un résumé des portions pertinentes des enregistrements.Le 6 mars 2022, à 13 h 4, un agent du SPL a signalé qu’une moto blanche non plaquée l’avait fui et qu’elle roulait en direction sud sur Pond Mills Road lorsqu’elle a été vue pour la dernière fois. Il ne l’avait pas poursuivie.
À 13 h 21, l’AI a signalé qu’une moto de couleur foncée, qui roulait avec la moto blanche, avait pris la fuite en direction nord sur la rue St. George après que l’AI lui ait demandé de se ranger. L’AI a dit : « Je ne vais pas le poursuivre » et a fourni une description du plaignant. L’AI a ensuite roulé en direction nord sur la rue St. George. Il a demandé qu’on dépêche d’autres agents, « code 1 », et les SMU (services médicaux d’urgence), car il croyait que le plaignant avait fait une chute.
Alors qu’il roulait à environ 30 km/h, des passants qui étaient sur l’avenue Sherwood on fait signe à l’AI et lui ont signalé la présence d’un homme sur la chaussée. Le plaignant était inconscient. Il respirait et du sang s’écoulait de sa bouche. Un ambulancier paramédical hors service soutenait son cou et sa colonne vertébrale.
L’AI a demandé qu’on envoie d’autres agents à l’intersection des rues St. George et Regent pour sécuriser la scène et obtenir les déclarations des témoins.
L’AI a informé un sergent qu’il n’avait pas poursuivi le plaignant lorsqu’il s’était enfui.
À 13 h 58, l’AI a demandé que l’on ratisse la rue St. George, entre les rues Oxford et Regent, pour trouver des enregistrements vidéo pertinents. Un agent du SPL a indiqué qu’il avait repéré une caméra de sonnette à une adresse de la rue St. George, mais qu’elle n’avait pas filmé l’incident.
Enregistrements vidéo
Le 7 mars 2022, une femme a fourni à l’UES des images vidéo provenant d’une caméra située sur le côté est de sa maison. Voici un résumé des parties pertinentes de l’enregistrement.Le 6 mars 2022, à 13 h 24 min 8 s, on voit et on entend une motocyclette rouler vers le nord sur la rue St. George, à haut régime. Dans l’enregistrement, on voit la motocyclette pendant deux secondes, puis elle sort du champ de la caméra. Elle roulait vers le nord. On entend le moteur pendant plusieurs secondes.
À 13 h 24 min 48 s, on voit un VUS de police blanc identifié du SPL qui roule sur la rue St. George en direction nord, à une vitesse normale. Ni ses gyrophares ni sa sirène ne sont activés. Le véhicule de police du SPL se trouvait 40 secondes derrière la moto et roulait à une vitesse normale.
Documents obtenus du service de police
L’UES a obtenu et examiné les documents et les éléments suivants auprès du SPL :- Résumé détaillé de l’appel
- Croquis des lieux
- Rapport d’incident général
- Données GPS provenant du véhicule de l’AI
- Rapport de l’enregistreur de données routières pour l’incident
- Vérifications du ministère des Transports
- Rapport de collision de véhicule à moteur
- Notes — AT
- Notes — AI
- Rapport d’incident (AI)
- Déclarations des témoins de la police — AT
- Notes de terrain prises par les spécialistes en reconstitution
- Circulation et véhicules à moteur — Procédure opérationnelle relative aux véhicules de police
- Diagramme des véhicules
- Notes à la suite de l’examen du véhicule — Kia
- Notes à la suite de l’examen du véhicule — motocyclette
- Enregistrements de communications
Éléments obtenus auprès d’autres sources
L’UES a examiné les éléments et documents suivants remis par d’autres sources : - SMU de Middlesex-London — Rapport sur la demande d’ambulance
- Documents médicaux du London Health Sciences Centre (LHSC)
- Enregistrement vidéo provenant d’une caméra installée sur le côté est d’une maison faisant face à la rue St. George
Description de l’incident
La preuve recueillie par l’UES, laquelle comprenait une déclaration du plaignant, dresse un portrait clair des principaux événements, lesquels peuvent être résumés comme suit. Comme la loi l’y autorise, l’AI a choisi de ne pas participer à une entrevue avec l’UES. Il a cependant autorisé la communication de ses notes.
Au début de l’après-midi du 6 mars 2022, l’AI était au volant de son VUS de police identifié et roulait sur la rue Oxford Est en direction ouest lorsque deux motos arrêtées devant lui à l’intersection de la rue Richmond ont attiré son attention. Plus tôt dans la journée, un agent avait signalé qu’une moto s’était enfuie de la police et l’une des deux motos correspondait à sa description. Lorsque le feu de circulation est devenu vert, la motocyclette suspecte a accéléré en direction ouest sur la rue Oxford Est. L’autre moto a tourné à gauche et s’est dirigée vers le sud sur la rue Richmond. L’AI a décidé de suivre la moto sur la rue Richmond, car il avait cru comprendre que les deux motocyclistes roulaient ensemble.
Le plaignant était au volant de la moto. À une vitesse modérée, alors que le véhicule de police était derrière lui, il a roulé vers le sud jusqu’à la rue Piccadilly, où il a tourné et s’est dirigé vers l’ouest, puis vers le nord sur la rue St. George. Alors qu’il approchait de la rue Oxford Est, l’agent a activé ses gyrophares et lui a fait signe de se ranger. Le plaignant s’est arrêté momentanément, puis a accéléré en direction nord sur la rue St. George en traversant les voies de la rue Oxford Est.
Après l’intersection, l’AI a tourné sur la rue St. George et a roulé en direction nord en scrutant les rues secondaires pour tenter de retrouver la moto. Alors qu’il approchait de la rue Cheapside, l’agent pouvait voir au loin la moto qui reposait sur son côté, sur la chaussée, à l’intersection des rues St. George et Regent. Il s’est rendu jusqu’à l’intersection et a constaté qu’une collision avait eu lieu.
Après avoir traversé la rue Oxford Est, le plaignant avait foncé en direction nord sur la rue St. George à une vitesse extrême, ne faisant aucun cas des panneaux d’arrêt. En traversant l’intersection de la rue Regent, le plaignant avait heurté le côté conducteur arrière d’une Kia qui traversait l’intersection en direction ouest. Les deux véhicules se sont immobilisés dans l’intersection et à proximité.
Le conducteur de la Kia — le TC no 6 — a eu de la chance et n’a pas subi de blessures graves. En revanche, le plaignant n’a pas été aussi chanceux. Il a subi plusieurs blessures, y compris une fracture de l’os orbital.
Au début de l’après-midi du 6 mars 2022, l’AI était au volant de son VUS de police identifié et roulait sur la rue Oxford Est en direction ouest lorsque deux motos arrêtées devant lui à l’intersection de la rue Richmond ont attiré son attention. Plus tôt dans la journée, un agent avait signalé qu’une moto s’était enfuie de la police et l’une des deux motos correspondait à sa description. Lorsque le feu de circulation est devenu vert, la motocyclette suspecte a accéléré en direction ouest sur la rue Oxford Est. L’autre moto a tourné à gauche et s’est dirigée vers le sud sur la rue Richmond. L’AI a décidé de suivre la moto sur la rue Richmond, car il avait cru comprendre que les deux motocyclistes roulaient ensemble.
Le plaignant était au volant de la moto. À une vitesse modérée, alors que le véhicule de police était derrière lui, il a roulé vers le sud jusqu’à la rue Piccadilly, où il a tourné et s’est dirigé vers l’ouest, puis vers le nord sur la rue St. George. Alors qu’il approchait de la rue Oxford Est, l’agent a activé ses gyrophares et lui a fait signe de se ranger. Le plaignant s’est arrêté momentanément, puis a accéléré en direction nord sur la rue St. George en traversant les voies de la rue Oxford Est.
Après l’intersection, l’AI a tourné sur la rue St. George et a roulé en direction nord en scrutant les rues secondaires pour tenter de retrouver la moto. Alors qu’il approchait de la rue Cheapside, l’agent pouvait voir au loin la moto qui reposait sur son côté, sur la chaussée, à l’intersection des rues St. George et Regent. Il s’est rendu jusqu’à l’intersection et a constaté qu’une collision avait eu lieu.
Après avoir traversé la rue Oxford Est, le plaignant avait foncé en direction nord sur la rue St. George à une vitesse extrême, ne faisant aucun cas des panneaux d’arrêt. En traversant l’intersection de la rue Regent, le plaignant avait heurté le côté conducteur arrière d’une Kia qui traversait l’intersection en direction ouest. Les deux véhicules se sont immobilisés dans l’intersection et à proximité.
Le conducteur de la Kia — le TC no 6 — a eu de la chance et n’a pas subi de blessures graves. En revanche, le plaignant n’a pas été aussi chanceux. Il a subi plusieurs blessures, y compris une fracture de l’os orbital.
Dispositions législatives pertinentes
Article 320.13(2) du Code criminel – Conduite dangereuse causant des lésions corporelles
320.13 (2) Commet une infraction quiconque conduit un moyen de transport d’une façon dangereuse pour le public, eu égard aux circonstances, et cause ainsi des lésions corporelles à une autre personne.
Analyse et décision du directeur
Le plaignant a été grièvement blessé lors d’une collision de véhicule motorisé survenue à London, le 6 mars 2022. Puisqu’il avait eu une brève interaction avec un agent de police quelques minutes avant la collision, l’UES a été informée et a lancé une enquête. L’agent de police — l’AI — a été désigné comme l’agent impliqué dans cette affaire. L’enquête est maintenant terminée. D’après mon évaluation de la preuve, je n’ai aucun motif raisonnable de conclure que l’AI a commis une infraction criminelle en lien avec les blessures subies par le plaignant.
L’infraction possible dans cette affaire est la conduite dangereuse causant des lésions corporelles, en contravention du paragraphe 320.13(2) du Code criminel. L’infraction repose, en partie, sur une conduite constituant un écart marqué par rapport au degré de diligence qu’une personne raisonnable aurait exercé dans les circonstances. Dans l’affaire qui nous concerne, la question est de savoir si l’AI a manqué de diligence dans la façon dont il a conduit son véhicule de police et de savoir s’il a donc causé la collision ou contribué à la collision, et si ce manque de diligence, le cas échéant, est suffisamment grave pour justifier l’imposition d’une sanction criminelle. À mon avis, cela n’est pas le cas.
Je suis convaincu que l’AI exerçait ses fonctions de façon légitime lorsqu’il a fait signe au plaignant de se ranger. L’agent souhaitait parler avec le plaignant, car ce dernier semblait rouler avec un motocycliste qui était recherché parce qu’il avait fui la police plus tôt ce jour là.
Je suis également convaincu que, durant la totalité de son interaction avec le plaignant, l’AI s’est comporté avec toute la prudence et la diligence voulues pour la sécurité publique. Rien n’indique que l’agent a roulé à une vitesse excessive à quelque moment que ce soit, puisqu’il a emprunté le même itinéraire que celui qu’il avait vu le plaignant emprunter avant de le perde de vue. Rien n’indique non plus que l’agent a directement mis la circulation en danger lorsqu’il a ralenti, mais ne s’est pas arrêté, à l’un ou l’autre des panneaux d’arrêt croisés sur la rue St. George alors qu’il se dirigeait vers le lieu de la collision. Enfin, il convient de noter que l’agent était à environ une minute derrière la moto au moment où la collision s’est produite, éliminant la possibilité qu’il ait indûment poussé le plaignant à agir comme il l’a fait.
Par conséquent, je suis convaincu que l’agent n’a pas transgressé les limites de la prudence prescrites par le droit criminel au cours des événements qui ont précédé la collision. Il n’y a donc pas lieu de porter des accusations criminelles dans cette affaire et le dossier est clos.
Date : 28 juin 2022
Approuvé électroniquement par
Joseph Martino
Directeur
Unité des enquêtes spéciales
L’infraction possible dans cette affaire est la conduite dangereuse causant des lésions corporelles, en contravention du paragraphe 320.13(2) du Code criminel. L’infraction repose, en partie, sur une conduite constituant un écart marqué par rapport au degré de diligence qu’une personne raisonnable aurait exercé dans les circonstances. Dans l’affaire qui nous concerne, la question est de savoir si l’AI a manqué de diligence dans la façon dont il a conduit son véhicule de police et de savoir s’il a donc causé la collision ou contribué à la collision, et si ce manque de diligence, le cas échéant, est suffisamment grave pour justifier l’imposition d’une sanction criminelle. À mon avis, cela n’est pas le cas.
Je suis convaincu que l’AI exerçait ses fonctions de façon légitime lorsqu’il a fait signe au plaignant de se ranger. L’agent souhaitait parler avec le plaignant, car ce dernier semblait rouler avec un motocycliste qui était recherché parce qu’il avait fui la police plus tôt ce jour là.
Je suis également convaincu que, durant la totalité de son interaction avec le plaignant, l’AI s’est comporté avec toute la prudence et la diligence voulues pour la sécurité publique. Rien n’indique que l’agent a roulé à une vitesse excessive à quelque moment que ce soit, puisqu’il a emprunté le même itinéraire que celui qu’il avait vu le plaignant emprunter avant de le perde de vue. Rien n’indique non plus que l’agent a directement mis la circulation en danger lorsqu’il a ralenti, mais ne s’est pas arrêté, à l’un ou l’autre des panneaux d’arrêt croisés sur la rue St. George alors qu’il se dirigeait vers le lieu de la collision. Enfin, il convient de noter que l’agent était à environ une minute derrière la moto au moment où la collision s’est produite, éliminant la possibilité qu’il ait indûment poussé le plaignant à agir comme il l’a fait.
Par conséquent, je suis convaincu que l’agent n’a pas transgressé les limites de la prudence prescrites par le droit criminel au cours des événements qui ont précédé la collision. Il n’y a donc pas lieu de porter des accusations criminelles dans cette affaire et le dossier est clos.
Date : 28 juin 2022
Approuvé électroniquement par
Joseph Martino
Directeur
Unité des enquêtes spéciales
Notes
- 1) Les documents suivants contiennent des renseignements personnels délicats qui ne sont pas divulgués, comme le prévoit le paragraphe 34 (2) de la Loi de 2019 sur l’Unité des enquêtes spéciales. Les principaux éléments des documents sont résumés ci-dessous. [Retour au texte]
Note:
La version originale anglaise signée du rapport fait autorité. En cas de divergence entre cette version et les versions anglaise ou française en ligne, la version originale anglaise signée du rapport l’emporte.